
アクティブ・レンジャー日記
九州地方環境事務所のアクティブ・レンジャーが、活動の様子をお伝えします。アクティブ・レンジャーとは、自然保護官の補佐役として、国立公園等のパトロール、調査、利用者指導、自然解説などの業務を担う環境省の職員です。管内には、瀬戸内海、西海、雲仙天草、阿蘇くじゅう、霧島錦江湾、屋久島、奄美群島、やんばる、慶良間諸島、西表石垣国立公園があります。
1年間で出会った生き物たち ~南大隅・佐多エリア編~
2026年04月17日
鹿児島
おやっとさあ~
霧島錦江湾国立公園管理事務所の上園です。
あっという間に桜の花も散り、夏に近づく今日この頃、皆様お元気にお過ごしでしょうか。
私は生き物が大好きで、外勤に行くとついつい生き物を探してしまいます。
今回は昨年4月から現在までに巡視等で出会った鹿児島の生き物たちを南大隅・佐多エリア/錦江湾奥エリア/指宿エリアに分けて紹介していきたいと思います!
私が好きな鳥と蝶ばかりですが💦
詳細な生態などの説明は省きますので、もし気になる生き物がいたら検索してみてください!
今回の日記は南大隅・佐多エリアで出会った生き物たちの紹介です!
霧島錦江湾国立公園管理事務所の上園です。
あっという間に桜の花も散り、夏に近づく今日この頃、皆様お元気にお過ごしでしょうか。
私は生き物が大好きで、外勤に行くとついつい生き物を探してしまいます。
今回は昨年4月から現在までに巡視等で出会った鹿児島の生き物たちを南大隅・佐多エリア/錦江湾奥エリア/指宿エリアに分けて紹介していきたいと思います!
私が好きな鳥と蝶ばかりですが💦
詳細な生態などの説明は省きますので、もし気になる生き物がいたら検索してみてください!
今回の日記は南大隅・佐多エリアで出会った生き物たちの紹介です!
アサギマダラ
有名な旅をする蝶です!ここからまだまだ南を目指し小さな体で懸命に大海原を越えてゆくのか、それとも終着点となるのか。強風の日も多い佐多岬で翅がボロボロになっている個体を観察しながら様々な想像を膨らましました。
リュウキュウアサギマダラ
本来南の島に生息している蝶です。アサギマダラにとても似ていますが翅の色が南西諸島のコバルトブルーの海を想像させるきれいな水色をしています。
風に運ばれて本土までやってきたのでしょうか。
風に運ばれて本土までやってきたのでしょうか。
リュウキュウムラサキ
こちらも南方系の蝶です。
少し主張している青紫色の翅がとてもおしゃれでした!!
少し主張している青紫色の翅がとてもおしゃれでした!!
ツマベニチョウ
指宿市の蝶にも選ばれている蝶ですが佐多岬にもたくさんいます!
良い写真が撮れたら掲載したいのですが・・・。
飛ぶのが速すぎてうまく撮影できません!!!
次こそはしっかり写真に収めてみせます!
良い写真が撮れたら掲載したいのですが・・・。
飛ぶのが速すぎてうまく撮影できません!!!
次こそはしっかり写真に収めてみせます!
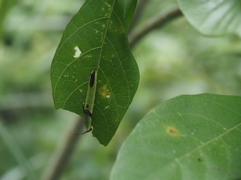
イシガケチョウ
雄川の滝近くで給水しているところを発見!
イヌビワの木には幼虫もたくさんいました!
イヌビワの木には幼虫もたくさんいました!
サシバ
秋、夏に日本各地で繁殖したサシバたちが佐多岬に集まり海を越えて南へ飛んで行きます。
写真を撮影した日は強風。今回は期待できないかと帰路につこうとしたとき、遠くに飛ぶ群れを発見!南からの強風に立ち向かって懸命に羽ばたいていましたが、多くはこの日の渡りを断念し、陸地の方へ帰ってきました。
そしてつい先週、雄川の滝近くで2羽のサシバが帆翔しているところに出会えました。
今年も無事帰ってきてくれてたのを確認でき、とても嬉しい瞬間でした!
写真を撮影した日は強風。今回は期待できないかと帰路につこうとしたとき、遠くに飛ぶ群れを発見!南からの強風に立ち向かって懸命に羽ばたいていましたが、多くはこの日の渡りを断念し、陸地の方へ帰ってきました。
そしてつい先週、雄川の滝近くで2羽のサシバが帆翔しているところに出会えました。
今年も無事帰ってきてくれてたのを確認でき、とても嬉しい瞬間でした!
ノビタキ
本土最南端の佐多地区は多くの渡り鳥が立ち寄る休息地になっています。
4月に訪れた際には渡り途中のノビタキを観察できました。
4月に訪れた際には渡り途中のノビタキを観察できました。
シマヘビ黒化型
鹿児島ではたまにお目にかかれるシマヘビの黒い個体。とてもかっこいいです!
カラスヘビと呼ばれることもあります。
カラスヘビと呼ばれることもあります。
オオスミサンショウウオ
オオスミサンショウウオを見たいなーと思いながら沢筋を歩いていると…発見!
川底と同化していてよーく見ないと分からないほどのカモフラージュ能力を持っていました!
幼生は小さくてかわいいですね。
オオスミサンショウウオは国内希少野生動植物種に指定されており、捕獲・採取・損傷が原則として禁止されています。見つけた時はそっと見守ってくださいね。
川底と同化していてよーく見ないと分からないほどのカモフラージュ能力を持っていました!
幼生は小さくてかわいいですね。
オオスミサンショウウオは国内希少野生動植物種に指定されており、捕獲・採取・損傷が原則として禁止されています。見つけた時はそっと見守ってくださいね。
また、佐多岬エリアの岬先端部は、国立公園特別保護地区に指定されており、全ての動物の捕獲等(捕獲・殺傷、卵の採取・損傷)が自然公園法により禁止されています。
詳しくは公園計画図などをご確認ください。↓
詳しくは公園計画図などをご確認ください。↓
以上、南大隅・佐多エリアの生き物たちでした!
本土最南端に位置するこのエリアでは普段あまり見ることのできない南国色強めの生き物たちが多く、とても楽しい場所です。
訪れる際には生き物探しもされてみてくださいね。
次回もお楽しみに!!